조황관리HOME / 조황관리 / 상세정보

제목 : 제주왔어호((9.77톤)) 4월 20일 갑오징어 조황
등록일 : 2026-04-22

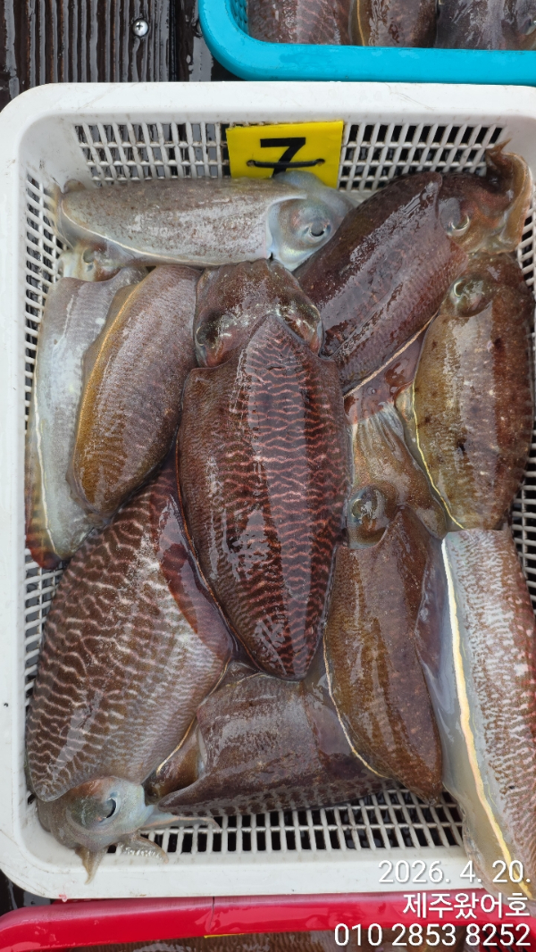
**제주 왔어호 갑오징어 조황**
제주왔어호 스타링크설치 했습니다.^^
((비번은 선실문열면 정면에 있어요^^))
와이파이 빵빵터져요~~~~
바다에서 낚시 하시면서
업무가 안돼 힘드셨던분.
이제 걱정없습니다!!!
항공료도 많이 오르고
낚시오시는 비용이 부담 되시는데
좀더 넓게 낚시하시게
선비 인상 없이 과감하게 18석=>>12석으로.
협력선사들과 조정하였습니다
인원을 줄인만큼 상황에 따라 쌍포가능 합니다.
유가와 항공 티켓비용 안정될때까지만
진행할 예정입니다^^
불편함이 없는 왔어호가 되겠습니다.^^

4월 20일 11물 서귀포권 주간갑오징어
조황입니다.
서귀포항에서 출항 포인트까지 1시간 달려
서귀포권에서 낚시했습니다.
마릿수는 많지는 않지만 사이즈 좋네요.
21,22일 서귀포항에서 출항하겠습니다.
23일은 기상악화로 쉬고요,
24일부터는 모슬포항 출항합니다.
**출항지 변경은 출항2일전 알려드리겠습니다.**
((숙소는 출조 2일전에 출항 확정되면 잡아주세요.))
예약현황
21일. 마감((선단백호 2자리 있어요))
22일 2자리여유
23일 기상악화
24일부터 여유자리 많아요.

수온 16.7도 였구요.
하루 온종일 이삭줍기였네요.
오전에 흐려서 인지 보라가 잘먹였네요.

사이즈 좋은 갑이 손맛보러오세요^^
오늘도 선장 믿고 열심히 잡아주신
울 조사님들 감사감사합니다.

봉돌은 납 40호, 텅스텐 35호 통일.
라인은 합사 0.8호 추천드립니다.
아래 사진에 기본으로 준비해야되는 에기사진 있으니 참고해주세요.
왔어호와 함께 찐~~한 갑오징어
손맛 보실 조사님들 아래 예약사이트로
마니마니 예약주세요.
출 항 일 : 기상만 허락한다면
출 항 지 : 서귀포항(21,22일)
출항시간 : 06시 30분(항에 06시10분까지)
입항시간 : 17시 30분(저녁8시 30분 이후 뱅기)
1인 선비 : 12만원

**공항으로 돌아가는 픽업만 가능**

*렌트카는 "빌리카ㆍOKㆍ무지개" 추천
((다른곳은 낚시인에게 렌트 안되는 곳 많아요.))
5월 말까지 주간 갑오징어 출항합니다.
많은 이용 부탁드립니다.

**배 전원사용가능**
((배터리 챙겨오시는거 추천))

***자리배정은 승선 후 추첨***
0.80세 이상 어르신 우선권.
1.연박자 우선 추첨(2일째부터 적용)
2.단체 우선 추첨(4인이상 한줄서기)
3.개인추첨
항에서 배를 봤을때 좌측선수에서 1~6번
우측선수에서 1~6번 입니다.
(1,2번빼고는 평지 입니다.)
갑이 손맛 보러 제주로....
이왕이면 왔어호로 와주세요 ^^

*1월~5월 갑오징어 출항 시간*
*아침 6시 30분 출항 ~오후 5시 30분 입항
((가는 뱅기는 20시 30분 이후 권해드립니다))
*아침새참과 점심 제공해드립니다.
(컵라면과 물, 몇가지 음료 준비되어 있음)
왔어호 마지막 시메 후 뿔까지 잘라드립니다.
왜냐구요?
마지막 들어올때 까지
한마리라두 더 잡으시게
해드리고 싶어서요...

*기상악화시 숙소는 환급 안되는 곳 많음.*
((예약시 미리 낚시객이라 하시고 기상악화로 출항 못하면 환급되는지 확인하세요))

 

*왔어호 예약바로가기

https://welcome.sunsang24.com/ship/schedule_fleet/

*왔어호 밴드바로가기/ 더 많은 사진

https://www.band.us/band/85207657

네이버검색 : 제주왔어호, 왔어호, 제주 왔어호


제주왔어호_사진_20260420_1.jpg


제주왔어호_사진_20260420_2.jpg


제주왔어호_사진_20260420_3.jpg


제주왔어호_사진_20260420_4.jpg


제주왔어호_사진_20260420_5.jpg


제주왔어호_사진_20260420_6.jpg


제주왔어호_사진_20260420_7.jpg


제주왔어호_사진_20260420_8.jpg


제주왔어호_사진_20260420_9.jpg


제주왔어호_사진_20260420_10.jpg
제주왔어호_사진_20260420_11.jpg


제주왔어호_사진_20260420_12.jpg


제주왔어호_사진_20260420_13.jpg


제주왔어호_사진_20260420_14.jpg


제주왔어호_사진_20260420_15.jpg


제주왔어호_사진_20260420_16.jpg


제주왔어호_사진_20260420_17.jpg


제주왔어호_사진_20260420_18.jpg


제주왔어호_사진_20260420_19.jpg


제주왔어호_사진_20260420_30.jpg

#제주왔어호 #갑오징어 #제주갑오징어 #제주선상갑오징어 #한치 #한치이카메탈 #제주한치 #제주선상한치 #제주야간팁런 #제주야간무늬팁런 #제주무늬팁런 #제주선상팁런 #제주선상무늬오징어 #제주팁런 #제주모슬포 #제주사계 #제주신창 #제주서귀포  



*** 제주 왔호***호 예약 안내 ***


예약문의 : 010-2853-8252
오시는길 : 시즌별 변동 예약 시 확인해주세요

홈페이지 : https://welcome.sunsang24.com/
어호 밴드 : https://band.us/band/85207657 (왔어호밴드가입시 휴대폰 인증으로 해주세요)
 


모바일.gif 


Top