조황관리HOME / 조황관리 / 상세정보

제목 : 제주왔어호((9.77톤)) 4월 8일 갑오징어 조황
등록일 : 2026-04-09

**제주 왔어호 갑오징어 조황**
제주왔어호 스타링크설치 했습니다.^^
와이파이 빵빵터져요~~~~
바다에서 낚시 하시면서
업무가 안돼 힘드셨던분.
이제 걱정없습니다!!!

항공료도 많이 오르고
낚시오시는 비용이 부담 되시는데
좀더 넓게 낚시하시게
선비 인상 없이 과감하게 18석=>>12석으로.
협력선사들과 조정하였습니다
인원을 줄인만큼 상황에 따라 쌍포가능 합니다.
유가와 항공 티켓비용 안정될때까지만
진행할 예정이며 4월5일부터 시행합니다^^
불편함이 없는 왔어호가 되겠습니다.^^

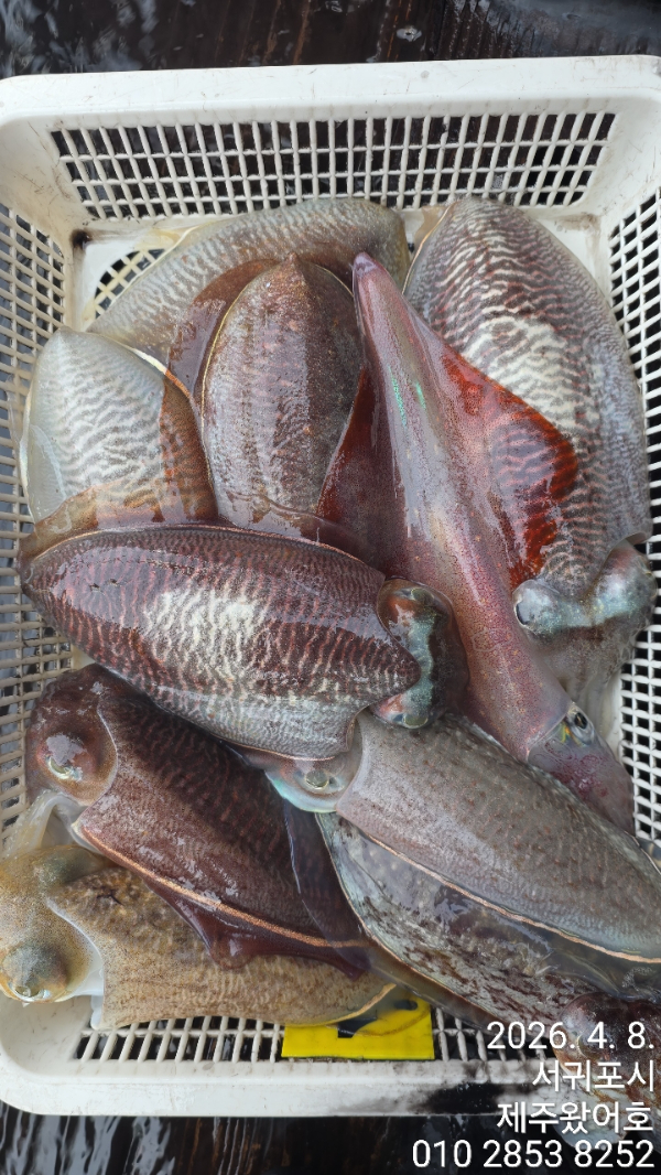
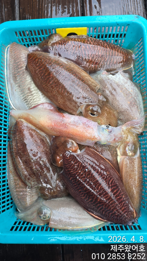
4월 8일 13물 서귀포권 주간갑오징어
조황입니다.
모슬포에서 출항 포인트까지 40분달려
서귀포권에서 낚시했습니다.
마릿수는 많지는 않지만 사이즈 좋네요.
몇일 모슬포항에서 출항하겠습니다.

 

**출항지 변경은 출항2일전 알려드리겠습니다.**
((숙소는 출조 2일전에 출항 확정되면 잡아주세요.))
4사이5월 여유자리 많이 있습니다.
사이즈 좋은 갑이 손맛보러오세요^^
오늘도 선장 믿고 열심히 잡아주신
울 조사님들 감사감사합니다.

수온15.5도
봉돌은 납 40호, 텅스텐 35호 통일.
라인은 합사 0.8호 추천드립니다.
아래 사진에 기본으로 준비해야되는 에기사진 있으니 참고해주세요.
왔어호와 함께 찐~~한 갑오징어
손맛 보실 조사님들 아래 예약사이트로
마니마니 예약주세요.
출 항 일 : 기상만 허락한다면 1분이라도
출 항 지 : 모슬포항(당분간)
출항시간 : 06시 30분(항에 06시10분까지)
입항시간 : 17시 30분(저녁8시 30분 이후 뱅기)
1인 선비 : 12만원

**공항으로 돌아가는 픽업만 가능**

*렌트카는 "빌리카ㆍOKㆍ무지개" 추천
((다른곳은 낚시인에게 렌트 안되는 곳 많아요.))
5월 말까지 주간 갑오징어 출항합니다.
많은 이용 부탁드립니다.

**배 전원사용가능**
((배터리 챙겨오시는거 추천))

***자리배정은 승선 후 추첨***
0.80세 이상 어르신 우선권.
1.연박자 우선 추첨(2일째부터 적용)
2.단체 우선 추첨(4인이상 한줄서기)
3.개인추첨
항에서 배를 봤을때 좌측선수에서 1~6번
우측선수에서 1~6번 입니다.
(1,2번빼고는 평지 입니다.)
갑이 손맛 보러 제주로....
이왕이면 왔어호로 와주세요 ^^

*1월~5월 갑오징어 출항 시간*
*아침 6시 30분 출항 ~오후 5시 30분 입항
((가는 뱅기는 20시 30분 이후 권해드립니다))
*아침새참과 점심 제공해드립니다.
(컵라면과 물, 몇가지 음료 준비되어 있음)

왔어호 마지막 시메 후 뿔까지 잘라드립니다.
왜냐구요?
마지막 들어올때 까지
한마리라두 더 잡으시게
해드리고 싶어서요...

*기상악화시 숙소는 환급 안되는 곳 많음.*
((예약시 미리 낚시객이라 하시고 기상악화로 출항 못하면 환급되는지 확인하세요))

 

*왔어호 예약바로가기

https://welcome.sunsang24.com/ship/schedule_fleet/

*왔어호 밴드바로가기/ 더 많은 사진

https://www.band.us/band/85207657

네이버검색 : 제주왔어호, 왔어호, 제주 왔어호

문의 전화

010 2853 8252


제주왔어호_사진_20260409_1.jpg


제주왔어호_사진_20260409_2.jpg


제주왔어호_사진_20260409_3.jpg


제주왔어호_사진_20260409_4.jpg


제주왔어호_사진_20260409_5.jpg


제주왔어호_사진_20260409_6.jpg


제주왔어호_사진_20260409_7.jpg


제주왔어호_사진_20260409_8.jpg


제주왔어호_사진_20260409_9.jpg


제주왔어호_사진_20260409_10.jpg

제주왔어호_사진_20260409_11.png


제주왔어호_사진_20260409_12.jpg


제주왔어호_사진_20260409_13.jpg

#제주왔어호 #갑오징어 #제주갑오징어 #제주선상갑오징어 #한치 #한치이카메탈 #제주한치 #제주선상한치 #제주야간팁런 #제주야간무늬팁런 #제주무늬팁런 #제주선상팁런 #제주선상무늬오징어 #제주팁런 #제주모슬포 #제주사계 #제주신창 #제주서귀포

 



*** 제주 왔호***호 예약 안내 ***


예약문의 : 010-2853-8252
오시는길 : 시즌별 변동 예약 시 확인해주세요

홈페이지 : https://welcome.sunsang24.com/
어호 밴드 : https://band.us/band/85207657 (왔어호밴드가입시 휴대폰 인증으로 해주세요)
 


모바일.gif 


Top