조황관리HOME / 조황관리 / 상세정보

제목 : 제주왔어호((9.77톤)) 3월 26일 갑오징어 조황
등록일 : 2026-03-27
**제주 왔어호 갑오징어 조황**
제주왔어호 스타링크설치 했습니다.^^
와이파이 빵빵터져요~~~~
바다에서 낚시 하시면서
업무가 안돼 힘드셨던분.
이제 걱정없습니다!!!
불편함이 없는 왔어호가 되겠습니다.^^

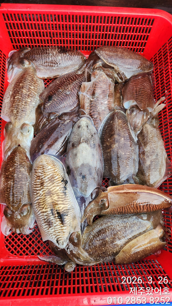
3월 26일 조금물 한림권 주간갑오징어
조황입니다.
29일(일욜)까지 출항지는 한림항입니다.
((기상 때문에 올라왔다가 사이즈 마릿수 나와줘서
몇일 더 한림에서 하다가 서귀포로 내려갑니다.))
29일 이후 출항지는 갑이나오는 거보고 28일 오후3시경
출항지 결정하겠습니다.

29일((일욜))3자리 여유 있습니다.

**출항 2일전 출항여부 공지드립니다.**
((기상과 갑이량에 따라 출항지 변경 될수 있습니다.))
숙소는 출조 2일전에 출항 확정되면 잡아주세요.

간만에 한림권출항이라 오전에 포이트 잘못 짚어
고전하다 오후에 지대로된 포인트.
오전에 완전 망이었는데 오후에 다잡아 들어왔네요.
막판 시메할때까지 나와주네요.
사진에는 시메할때 추가된 갑이가 없어 아쉽네요^^
큰사이즈와 마릿수 찾아 열심히 다녀보겠습니다.
사이즈 좋은 갑이 손맛보러오세요^^
오늘도 선장 믿고 열심히 잡아주신
울 조사님들 감사감사합니다.
수온15.3도

봉돌은 납 40호, 텅스텐 35호 통일.
낚시대 한대만 사용가능하구요.
에기도 하나만 달수 있습니다.
꼬~~~옥 지켜주세요...
라인은 합사 0.8호 추천드립니다.
아래 사진에 기본으로 준비해야되는 에기사진 있으니 참고해주세요.

왔어호와 함께 찐~~한 갑오징어
손맛 보실 조사님들 아래 예약사이트로
마니마니 예약주세요.
출 항 일 : 기상만 허락한다면 1분이라도
출 항 지 : 한림항(당분간)
출항시간 : 06시 30분(항에 06시20분까지)
입항시간 : 17시 30분(저녁8시 30분 이후 뱅기)
1인 선비 : 12만원

**픽업 안됩니다(가는픽업가능)**

*렌트카는 "빌리카ㆍOKㆍ무지개" 추천
((다른곳은 낚시인에게 렌트 안되는 곳 많아요.))
5월 말까지 주간 갑오징어 출항합니다.
많은 이용 부탁드립니다.

**배 전원사용가능**
((배터리 챙겨오시는거 추천))

***자리배정은 승선 후 추첨***
0.80세 이상 어르신 우선권.
1.연박자 우선 추첨(2일째부터 적용)
2.단체 우선 추첨(4인이상 한줄서기)
3.개인추첨
항에서 배를 봤을때 좌측선수에서 1~9번
우측선수에서 1~9번 입니다.
(1,2번빼고는 평지 입니다.)
갑이 손맛 보러 제주로....
이왕이면 왔어호로 와주세요 ^^

*1월~5월 갑오징어 출항 시간*

*아침 6시 30분 출항 ~오후 5시 30분 입항
((가는 뱅기는 20시 30분 이후 권해드립니다))
*아침새참과 점심 제공해드립니다.
(컵라면과 물, 몇가지 음료 준비되어 있음)

*왔어호 예약바로가기

*왔어호 밴드바로가기/ 더 많은 사진

네이버검색 : 제주왔어호, 왔어호, 제주 왔어호

문의 전화
010 2853 8252


00.jpg


제주왔어호_사진_20260327_1.jpg


제주왔어호_사진_20260327_2.jpg


제주왔어호_사진_20260327_3.jpg


제주왔어호_사진_20260327_4.jpg


제주왔어호_사진_20260327_5.jpg


제주왔어호_사진_20260327_6.jpg


제주왔어호_사진_20260327_7.jpg


제주왔어호_사진_20260327_8.jpg


제주왔어호_사진_20260327_9.jpg

제주왔어호_사진_20260327_10.jpg


제주왔어호_사진_20260327_11.jpg


제주왔어호_사진_20260327_12.jpg


제주왔어호_사진_20260327_13.jpg


제주왔어호_사진_20260327_14.jpg


제주왔어호_사진_20260327_15.jpg


제주왔어호_사진_20260327_16.jpg


제주왔어호_사진_20260327_17.jpg


제주왔어호_사진_20260327_18.jpg


제주왔어호_사진_20260327_19.jpg

*한림항 숙소추천*
더퍼스트호텔 064-796-6950
자몽호텔 064-796-1121
비양도모텔 064-796-5851
한라모텔 064-796-7942
아루미호텔 064 738 5947

왔어호 마지막 시메 후 뿔까지 잘라드립니다.
왜냐구요?
마지막 들어올때 까지
한마리라두 더 잡으시게
해드리고 싶어서요...

*기상악화시 숙소는 환급 안되는 곳 많음.*
((예약시 미리 낚시객이라 하시고 기상악화로 출항 못하면 환급되는지 확인하세요))

#제주왔어호 #갑오징어 #제주갑오징어 #제주선상갑오징어 #한치 #한치이카메탈 #제주한치 #제주선상한치 #제주야간팁런 #제주야간무늬팁런 #제주무늬팁런 #제주선상팁런 #제주선상무늬오징어 #제주팁런 #제주모슬포 #제주사계 #제주신창 #제주서귀포

 


*** 제주 왔호***호 예약 안내 ***


예약문의 : 010-2853-8252
오시는길 : 시즌별 변동 예약 시 확인해주세요

홈페이지 : https://welcome.sunsang24.com/
어호 밴드 : https://band.us/band/85207657 (왔어호밴드가입시 휴대폰 인증으로 해주세요)
 


모바일.gif 


Top