조황관리HOME / 조황관리 / 상세정보

제목 : 제주왔어호((9.77톤)) 3월 23,24일 갑오징어 조황
등록일 : 2026-03-24

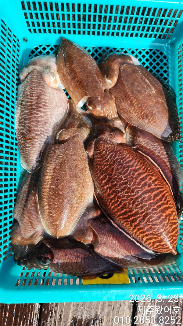
**제주 왔어호 갑오징어 조황**

3월 23,24일 12,13물 서귀포권 주간갑오징어

조황입니다.

내일((25일)) 출항지는 한림항입니다.

((기상 급 변화로 서귀포 주의보라 변경되었습니다.))

내일 출항 후 갑이나오는 거보고 다음 출항지 결정하겠습니다.

**출항 2일전 출항여부 공지드립니다.**

((기상과 갑이량에 따라 출항지 변경 될수 있습니다.))

숙소는 출조 2일전에 출항 확정되면 잡아주세요.

심한 너울과 바람때문에 많이 다니지 못했습니다.


조황이 부족합니다.

큰사이즈와 마릿수 찾아 열심히 다녀보겠습니다.

사이즈 좋은 갑이 손맛보러오세요^^

오늘도 선장 믿고 열심히 잡아주신

울 조사님들 감사감사합니다.

수온15.3도

봉돌은 납 40호, 텅스텐 35호 통일.

낚시대 한대만 사용가능하구요.

에기도 하나만 달수 있습니다.

꼬~~~옥 지켜주세요...

라인은 합사 0.8호 추천드립니다.

아래 사진에 기본으로 준비해야되는 에기사진 있으니 참고해주세요.

왔어호와 함께 찐~~한 갑오징어

손맛 보실 조사님들 아래 예약사이트로

마니마니 예약주세요.

출 항 일 : 기상만 허락한다면 1분이라도

출 항 지 : 서귀포항 또는 한림항

출항시간 : 06시 30분(항에 06시20분까지)

입항시간 : 17시 30분(저녁8시 30분 이후 뱅기)

1인 선비 : 12만원


**픽업 안됩니다(가는픽업가능)**


*렌트카는 "빌리카ㆍOKㆍ무지개" 추천

((다른곳은 낚시인에게 렌트 안되는 곳 많아요.))

5월 말까지 주간 갑오징어 출항합니다.

많은 이용 부탁드립니다.


**배 전원사용가능**

((배터리 챙겨오시는거 추천))


***자리배정은 승선 후 추첨***

0.80세 이상 어르신 우선권.

1.연박자 우선 추첨(2일째부터 적용)

2.단체 우선 추첨(4인이상 한줄서기)

3.개인추첨

항에서 배를 봤을때 좌측선수에서 1~9번

우측선수에서 1~9번 입니다.

(1,2번빼고는 평지 입니다.)

갑이 손맛 보러 제주로....

이왕이면 왔어호로 와주세요 ^^


*1월~5월 갑오징어 출항 시간*

*아침 6시 30분 출항 ~오후 5시 30분 입항

((가는 뱅기는 20시 30분 이후 권해드립니다))

*아침새참과 점심 제공해드립니다.

(컵라면과 물, 몇가지 음료 준비되어 있음)


*왔어호 예약바로가기

https://welcome.sunsang24.com/ship/schedule_fleet/


*왔어호 밴드바로가기/ 더 많은 사진

https://www.band.us/band/85207657


네이버검색 : 제주왔어호, 왔어호, 제주 왔어호


문의 전화

010 2853 8252



00.jpg


제주왔어호_사진_20260324_1.jpg


제주왔어호_사진_20260324_2.jpg


제주왔어호_사진_20260324_3.jpg


제주왔어호_사진_20260324_4.jpg


제주왔어호_사진_20260324_11.jpg


제주왔어호_사진_20260324_12.jpg


제주왔어호_사진_20260324_13.jpg


제주왔어호_사진_20260324_14.jpg


제주왔어호_사진_20260324_15(1).jpg
제주왔어호_사진_20260324_29.jpg


제주왔어호_사진_20260324_30.jpg


제주왔어호_사진_20260324_31.jpg


제주왔어호_사진_20260324_32.jpg


제주왔어호_사진_20260324_33.jpg


제주왔어호_사진_20260324_34.jpg


제주왔어호_사진_20260324_35.jpg


제주왔어호_사진_20260324_36.jpg


제주왔어호_사진_20260324_37.jpg


제주왔어호_사진_20260324_38.jpg

 
왔어호 마지막 시메 후 뿔까지 잘라드립니다.

왜냐구요?

마지막 들어올때 까지

한마리라두 더 잡으시게

해드리고 싶어서요...


*기상악화시 숙소는 환급 안되는 곳 많음.*

((예약시 미리 낚시객이라 하시고 기상악화로 출항 못하면 환급되는지 확인하세요))


#제주왔어호 #갑오징어 #제주갑오징어 #제주선상갑오징어 #한치 #한치이카메탈 #제주한치 #제주선상한치 #제주야간팁런 #제주야간무늬팁런 #제주무늬팁런 #제주선상팁런 #제주선상무늬오징어 #제주팁런 #제주모슬포 #제주사계 #제주신창 #제주서귀포




*** 제주 왔호***호 예약 안내 ***


예약문의 : 010-2853-8252
오시는길 : 시즌별 변동 예약 시 확인해주세요

홈페이지 : https://welcome.sunsang24.com/
어호 밴드 : https://band.us/band/85207657 (왔어호밴드가입시 휴대폰 인증으로 해주세요)
 


모바일.gif 


Top