조황관리HOME / 조황관리 / 상세정보

제목 : 제주왔어호((9.77톤)) 3월 19일 갑오징어 조황
등록일 : 2026-03-20

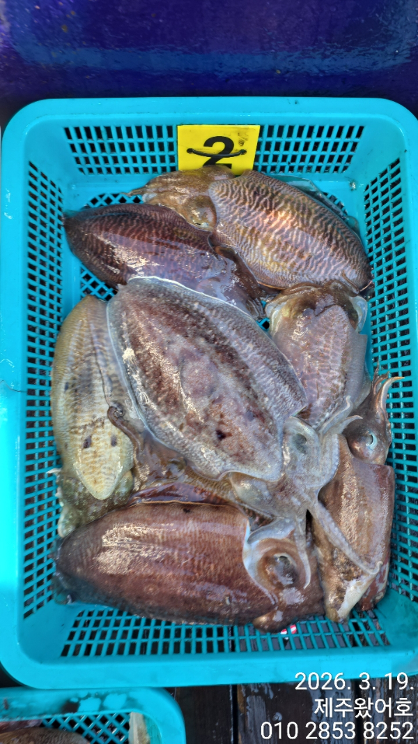
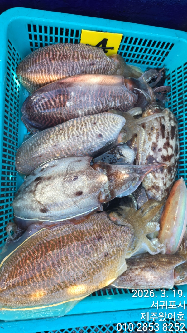
**제주 왔어호 갑오징어 조황**
3월 19일 8물 서귀포권 주간갑오징어
조황입니다.
5월말까지 출항지는 서귀포항입니다.

**출항 2일전 출항여부 공지드립니다.**
((기상과 갑이량에 따라 출항지 변경 될수 있습니다.))
숙소는 출조 2일전에 출항 확정되면 잡아주세요.
종일 열심히 다녔지만
조황이 많이 부족합니다.
사이즈는 많이 좋네요.
사이즈 좋은 갑이 손맛보러오세요^^
오늘도 선장 믿고 열심히 잡아주신
울 조사님들 감사감사합니다.
수온15.5도
왔어호 예약현황 입니다.
찐한 손맛보실분들 예약주세요.
3월 21일 ㅡ. 1자리여유
22일 ㅡ. 마감
이후 여유자리 많으니 예약주세요 ^^
봉돌은 납 40호, 텅스텐 35호 통일.
낚시대 한대만 사용가능하구요.
에기도 하나만 달수 있습니다.
꼬~~~옥 지켜주세요...
라인은 합사 0.8호 추천드립니다.
아래 사진에 기본으로 준비해야되는 에기사진 있으니 참고해주세요.
왔어호와 함께 찐~~한 갑오징어
손맛 보실 조사님들 아래 예약사이트로
마니마니 예약주세요.
출 항 일 : 기상만 허락한다면 1분이라도
출 항 지 : 서귀포항
출항시간 : 06시 30분(항에 06시20분까지)
입항시간 : 17시 30분(저녁8시 30분 이후 뱅기)
1인 선비 : 12만원

**픽업 안됩니다(가는픽업가능)**

*렌트카는 "빌리카ㆍOKㆍ무지개" 추천
((다른곳은 낚시인에게 렌트 안되는 곳 많아요.))
5월 말까지 주간 갑오징어 출항합니다.
많은 이용 부탁드립니다.

**배 전원사용가능**
((배터리 챙겨오시는거 추천))


***자리배정은 승선 후 추첨***
0.80세 이상 어르신 우선권.
1.연박자 우선 추첨(2일째부터 적용)
2.단체 우선 추첨(4인이상 한줄서기)
3.개인추첨
항에서 배를 봤을때 좌측선수에서 1~9번
우측선수에서 1~9번 입니다.
(1,2번빼고는 평지 입니다.)
갑이 손맛 보러 제주로....
이왕이면 왔어호로 와주세요 ^^

*1월~5월 갑오징어 출항 시간*
*아침 6시 30분 출항 ~오후 5시 30분 입항
((가는 뱅기는 20시 30분 이후 권해드립니다))
*아침새참과 점심 제공해드립니다.
(컵라면과 물, 몇가지 음료 준비되어 있음)

**출항지 정보**
서귀포수협연쇄점(서귀동673-5) 앞으로 06시 10분까지 와주세요.
주차 꼭 지켜주시기 바랍니다.
기존 주차하던곳(사진에 표시된곳) 항만청에서 주차 단속을 실시한다고 합니다.
차량은 숙소 주차장이나
BK호텔과 마이호텔 근처 골목에 주차하고 오시는걸 추천드립니다.
불편하겠지만 양해바랍니다.
숙소추천
BK호텔 064 763 0779
마이호텔 064 767 9919
바다해호텔 064 762 5300
더루케테호텔 064 732 8814

백호모텔 064 763 5566
 

*왔어호 예약바로가기
https://welcome.sunsang24.com/ship/schedule_fleet/

 

*왔어호 밴드바로가기/ 더 많은 사진
https://www.band.us/band/85207657

네이버검색 : 제주왔어호, 왔어호, 제주 왔어호

 

문의 전화
010 2853 8252


00.jpg


제주왔어호_사진_20260320_1.jpg


제주왔어호_사진_20260320_2.jpg


제주왔어호_사진_20260320_3.jpg


제주왔어호_사진_20260320_4.jpg


제주왔어호_사진_20260320_5.jpg


제주왔어호_사진_20260320_6.jpg


제주왔어호_사진_20260320_7.jpg


제주왔어호_사진_20260320_8.jpg


제주왔어호_사진_20260320_9.jpg

제주왔어호_사진_20260320_20.jpg


제주왔어호_사진_20260320_21.jpg


제주왔어호_사진_20260320_22.jpg


제주왔어호_사진_20260320_23.jpg


제주왔어호_사진_20260320_24.jpg


제주왔어호_사진_20260320_25.jpg


제주왔어호_사진_20260320_26.jpg


제주왔어호_사진_20260320_27.jpg


제주왔어호_사진_20260320_28.jpg


제주왔어호_사진_20260320_29.jpg
왔어호 마지막 시메 후 뿔까지 잘라드립니다.
왜냐구요?
마지막 들어올때 까지
한마리라두 더 잡으시게
해드리고 싶어서요...

*기상악화시 숙소는 환급 안되는 곳 많음.*
((예약시 미리 낚시객이라 하시고 기상악화로 출항 못하면 환급되는지 확인하세요))

#제주왔어호 #갑오징어 #제주갑오징어 #제주선상갑오징어 #한치 #한치이카메탈 #제주한치 #제주선상한치 #제주야간팁런 #제주야간무늬팁런 #제주무늬팁런 #제주선상팁런 #제주선상무늬오징어 #제주팁런 #제주모슬포 #제주사계 #제주신창 #제주서귀포


 



*** 제주 왔호***호 예약 안내 ***


예약문의 : 010-2853-8252
오시는길 : 시즌별 변동 예약 시 확인해주세요

홈페이지 : https://welcome.sunsang24.com/
어호 밴드 : https://band.us/band/85207657 (왔어호밴드가입시 휴대폰 인증으로 해주세요)
 


모바일.gif 


Top