조황관리HOME / 조황관리 / 상세정보

제목 : 제주왔어호((9.77톤)) 2월 17일 갑오징어 조황
등록일 : 2026-02-18
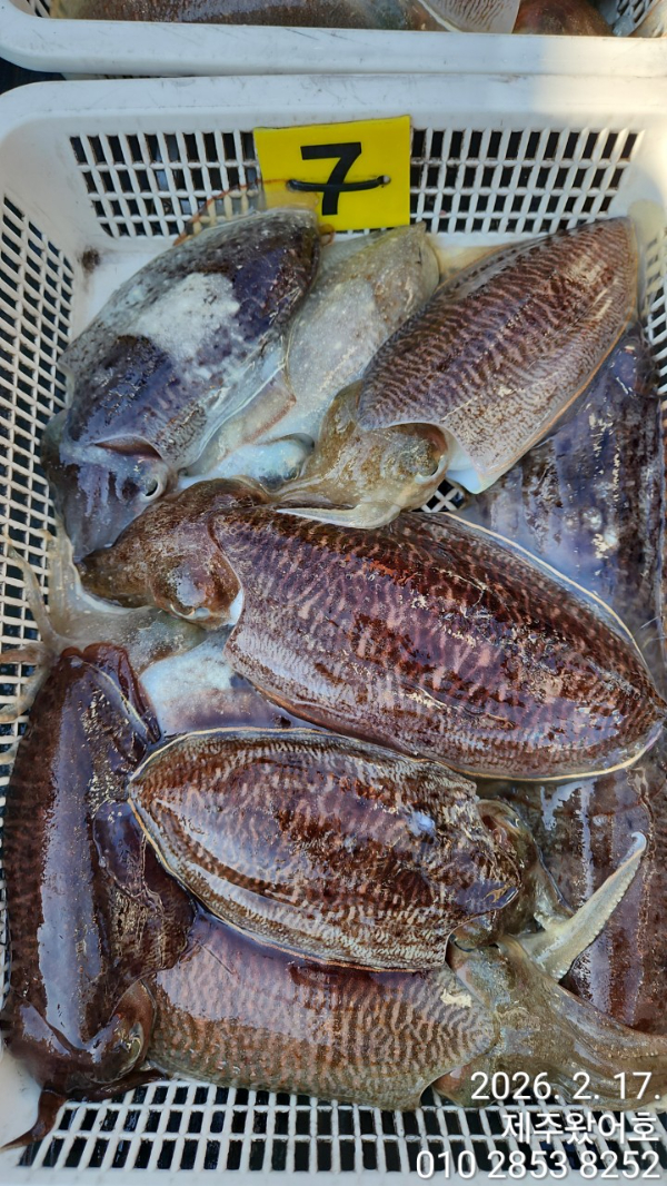
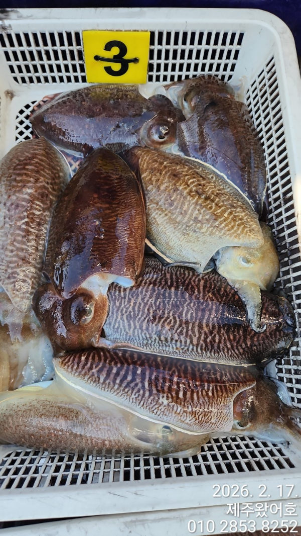
**제주 왔어호 갑오징어 조황**
2월 17일 8물 한림권 주간갑오징어
조황입니다.
2026년 새해 복~~~~마니 받으세요^^
설날 왔어호와 함께해주신 조사님들 감사감사합니다.

**21일 토욜부터 서귀포항 출항**
으로 변경되었습니다.
참고 부탁드립니다
숙소는 출조 3일전에
선장과 통화 후 잡아주세요.
기상과 갑이나오는 량에 따라
서귀포 또는 한림에서 출항하게 됩니다.
오전 주의보가 늦게풀려서 연안에서 조금 머물다가 11시부터 본포인트 들어갔네요.
심한 너울때문인지 물은 살아났는데
갑이들 반응도 좋지를 못했네요.
좋지못한 날씨에 열심히 잡아주신
울 조사님들 감사감사합니다.
수온14.5도
제주갑이 완벽한 본시즌이니 언능 오셔서 손맛보세요^^
출항지가 언제 바뀔지 모릅니다.
출조3일전 선장과 통화후 숙소잡으시는걸 추천드립니다.
왔어호 예약현황 입니다.
찐한 손맛보실분들 예약주세요.
19일ㅡ 마감
20일ㅡ 마감
21일ㅡ 마감
22일ㅡ 마감
23일ㅡ. 1자리여유
24일ㅡ 5자리여유
25일ㅡ 3자리여유
26일ㅡ 1자리여유
27일ㅡ 마감
28일ㅡ 2자리여유
3월1일 ㅡ 마감
2일 ㅡ 마감
3일 ㅡ 1자리여유
4일 ㅡ 4자리여유
5일 ㅡ. 마감
6일 ㅡ 마감
7일 ㅡ. 마감
8일 ㅡ. 마감
이후 여유자리 많으니 예약주세요 ^^
봉돌은 납 40호, 텅스텐 35호 통일.
낚시대 한대만 사용가능하구요.
에기도 하나만 달수 있습니다.
꼬~~~옥 지켜주세요...
라인은 합사 0.8호 추천드립니다.
아래 사진에 기본으로 준비해야되는 에기사진 있으니 참고해주세요.
왔어호와 함께 찐~~한 갑오징어
손맛 보실 조사님들 아래 예약사이트로
마니마니 예약주세요.
출 항 일 : 기상만 허락한다면 1분이라도
출 항 지 : 한림항(언제 서귀포로 갈지 모름)
출항시간 : 06시 30분(항에 06시10분까지)
입항시간 : 17시 30분(저녁8시30분 이후 뱅기)
1인 선비 : 12만원

**픽업 안됩니다(드랍가능)**
*렌트카는 "빌리카ㆍOKㆍ무지개" 추천
((다른곳은 낚시인에게 렌트 안되는 곳 많아요.))
5월 말까지 주간 갑오징어 출항합니다.
많은 이용 부탁드립니다.

**배 전원사용가능**
((배터리 챙겨오시는거 추천))
 

***자리배정은 승선 후 추첨***
0.80세 이상 어르신 우선권.
1.유튜버(4만이상)
2.연박자 우선 추첨(2일째부터 적용)
3.단체 우선 추첨(4인이상 한줄서기)
4.개인추첨
항에서 배를 봤을때 좌측선수에서 1~9번
우측선수에서 1~9번 입니다.
(1,2번빼고는 평지 입니다.)
갑이 손맛 보러 제주로....
이왕이면 왔어호로 와주세요 ^^
*1월~5월 갑오징어 출항 시간*
*아침 6시 30분 출항 ~오후 5시 30분 입항
((서귀포항 출항에는 가는 뱅기는 21시이후
한림항 출항에는 20시30분 권해드립니다))
*아침새참과 점심 제공해드립니다.
(컵라면과 물, 몇가지 음료 준비되어 있음)

*왔어호 예약바로가기

*왔어호 밴드바로가기/ 더 많은 사진

네이버검색 : 제주왔어호, 왔어호, 제주 왔어호


제주왔어호_사진_20260218_1.jpg


제주왔어호_사진_20260218_2.jpg


제주왔어호_사진_20260218_3.jpg


제주왔어호_사진_20260218_4.jpg


제주왔어호_사진_20260218_5.jpg


제주왔어호_사진_20260218_6.jpg


제주왔어호_사진_20260218_7.jpg


제주왔어호_사진_20260218_8.jpg


제주왔어호_사진_20260218_9.jpg


제주왔어호_사진_20260218_19.jpg


제주왔어호_사진_20260218_20.jpg


제주왔어호_사진_20260218_21.jpg


제주왔어호_사진_20260218_22.jpg


제주왔어호_사진_20260218_23.jpg


제주왔어호_사진_20260218_24.jpg


제주왔어호_사진_20260218_25.jpg


제주왔어호_사진_20260218_26.jpg


제주왔어호_사진_20260218_27.jpg


제주왔어호_사진_20260218_28.jpg


제주왔어호_사진_20260218_29.jpg

왔어호 마지막 시메 후 뿔까지 잘라드립니다.
왜냐구요?
마지막 들어올때 까지
한마리라두 더 잡으시게
해드리고 싶어서요...

*기상악화시 숙소는 환급 안되는 곳 많음.*
((예약시 미리 낚시객이라 하시고 기상악화로 출항 못하면 환급되는지 확인하세요))

#제주왔어호 #갑오징어 #제주갑오징어 #제주선상갑오징어 #한치 #한치이카메탈 #제주한치 #제주선상한치 #제주야간팁런 #제주야간무늬팁런 #제주무늬팁런 #제주선상팁런 #제주선상무늬오징어 #제주팁런 #제주모슬포 #제주사계 #제주신창 #제주서귀포





 


*** 제주 왔호***호 예약 안내 ***


예약문의 : 010-2853-8252
오시는길 : 시즌별 변동 예약 시 확인해주세요

홈페이지 : https://welcome.sunsang24.com/
어호 밴드 : https://band.us/band/85207657 (왔어호밴드가입시 휴대폰 인증으로 해주세요)
 


모바일.gif 


Top