조황관리HOME / 조황관리 / 상세정보

제목 : 제주왔어호((9.77톤)) 2월 15일 갑오징어 조황
등록일 : 2026-02-16
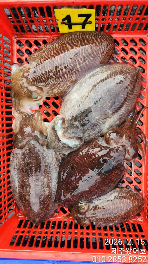
**제주 왔어호 갑오징어 조황**
2월 15일 5물 한림권 주간갑오징어
조황입니다.
물은 살아났는데
갑이들 반응도 좋지를 못했네요.
큰바구니도 3개있고 작은바구닌 몇마리 안되네요...
종일 흐린 하루였습니다.
좋지못한 날씨에 열심히 잡아주신
울 조사님들 감사감사합니다.
수온14.5도
제주갑이 완벽한 본시즌이니 언능 오셔서 손맛보세요^^
출항지가 언제 바뀔지 모릅니다.
출조3일전 선장과 통화후 숙소잡으시는걸 추천드립니다.
왔어호 예약현황 입니다.
찐한 손맛보실분들 예약주세요.
17일ㅡ. 마감
18일ㅡ. 2자리여유
19일ㅡ 마감
20일ㅡ 마감
21일ㅡ 마감
22일ㅡ 마감
23일ㅡ. 1자리여유
24일ㅡ 마감
25일ㅡ 마감
26일ㅡ 마감
27일ㅡ 마감
28일ㅡ 3자리여유
3월1일 ㅡ 2자리여유
2일 ㅡ 마감
3일 ㅡ 4자리여유
4일 ㅡ 4자리여유
5일 ㅡ. 마감
6일 ㅡ 마감
7일 ㅡ. 마감
8일 ㅡ. 마감
이후 여유자리 많으니 예약주세요 ^^
봉돌은 납 40호, 텅스텐 35호 통일.
낚시대 한대만 사용가능하구요.
에기도 하나만 달수 있습니다.
꼬~~~옥 지켜주세요...
라인은 합사 0.8호 추천드립니다.
아래 사진에 기본으로 준비해야되는 에기사진 있으니 참고해주세요.
왔어호와 함께 찐~~한 갑오징어
손맛 보실 조사님들 아래 예약사이트로
마니마니 예약주세요.
출 항 일 : 기상만 허락한다면 1분이라도
출 항 지 : 한림항(언제 서귀포로 갈지 모름)
출항시간 : 06시 30분(항에 06시10분까지)
입항시간 : 17시 30분(저녁8시30분 이후 뱅기)
1인 선비 : 12만원

**픽업 안됩니다(드랍가능**
*렌트카는 "빌리카ㆍOKㆍ무지개" 추천
((다른곳은 낚시인에게 렌트 안되는 곳 많아요.))
5월 말까지 주간 갑오징어 출항합니다.
많은 이용 부탁드립니다.

**배 전원사용가능**
((배터리 챙겨오시는거 추천))

***자리배정은 승선 후 추***
0.80세 이상 어르신 우선권.
1.유튜버(4만이상)
2.연박자 우선 추첨(2일째부터 적용)
3.단체 우선 추첨(4인이상 한줄서기)
4.개인추첨
항에서 배를 봤을때 좌측선수에서 1~9번
우측선수에서 1~9번 입니다.
(1,2번빼고는 평지 입니다.)
갑이 손맛 보러 제주로....
이왕이면 왔어호로 와주세요 ^^

*1월~5월 갑오징어 출항 시간*
*아침 6시 30분 출항 ~오후 5시 30분 입항
((서귀포항 출항에는 가는 뱅기는 21시이후
한림항 출항에는 20시30분 권해드립니다))
*아침새참과 점심 제공해드립니다.
(컵라면과 물, 몇가지 음료 준비되어 있음)
 
*왔어호 예약바로가기

*왔어호 밴드바로가기/ 더 많은 사진


네이버검색 : 제주왔어호, 왔어호, 제주 왔어호


00.jpg


제주왔어호_사진_20260216_1.jpg


제주왔어호_사진_20260216_2.jpg


제주왔어호_사진_20260216_3.jpg


제주왔어호_사진_20260216_4.jpg


제주왔어호_사진_20260216_5.jpg


제주왔어호_사진_20260216_6.jpg


제주왔어호_사진_20260216_7.jpg


제주왔어호_사진_20260216_8.jpg


제주왔어호_사진_20260216_9.jpg


제주왔어호_사진_20260216_10.jpg


제주왔어호_사진_20260216_11.jpg


제주왔어호_사진_20260216_12.jpg


제주왔어호_사진_20260216_13.jpg


제주왔어호_사진_20260216_14.jpg


제주왔어호_사진_20260216_15.jpg


제주왔어호_사진_20260216_16.jpg


제주왔어호_사진_20260216_17.jpg


제주왔어호_사진_20260216_18.jpg


제주왔어호_사진_20260216_23.jpg

왔어호 마지막 시메 후 뿔까지 잘라드립니다.
왜냐구요?
마지막 들어올때 까지
한마리라두 더 잡으시게
해드리고 싶어서요...

*연박 한림항 숙박추천*
*복층형펜션(기상악화 100프로 환급)*
((잡은갑이로 저녁식사되는곳))
바사팬스파펜션((010 9916 9811))
(한경해안로 448-6)
2인 6만원에 복층형 펜션 입니다.
((1인 추가 1.5만원)
1층식당에서 잡은 갑이 가져가시면
1인2만원(추가1인1만5천원)갑이회,튀김,무침,탕
해주신다고합니다.
한림항에서 차로 15분거리에
아침에 한림항까지
픽업해준다구 합니다.
방이5개뿐이니 미리미리 예약하셔야 합니다.

**한림항 숙박 추천 순서**
더퍼스트호텔 064-796-6950
자몽호텔 064-796-1121
비양도모텔 064-796-5851
한라모텔 064-796-7942
3만3천모텔 064-796-0181

*기상악화시 숙소는 환급 안되는 곳 많음.*
((예약시 미리 낚시객이라 하시고 기상악화로 출항 못하면 환급되는지 확인하세요))

#제주왔어호 #갑오징어 #제주갑오징어 #제주선상갑오징어 #한치 #한치이카메탈 #제주한치 #제주선상한치 #제주야간팁런 #제주야간무늬팁런 #제주무늬팁런 #제주선상팁런 #제주선상무늬오징어 #제주팁런 #제주모슬포 #제주사계 #제주신창 #제주서귀포


 


*** 제주 왔호***호 예약 안내 ***


예약문의 : 010-2853-8252
오시는길 : 시즌별 변동 예약 시 확인해주세요

홈페이지 : https://welcome.sunsang24.com/
어호 밴드 : https://band.us/band/85207657 (왔어호밴드가입시 휴대폰 인증으로 해주세요)
 


모바일.gif 


Top