조황관리HOME / 조황관리 / 상세정보

제목 : 제주왔어호((9.77톤))26년 1월 29일 갑오징어 조황
등록일 : 2026-01-29

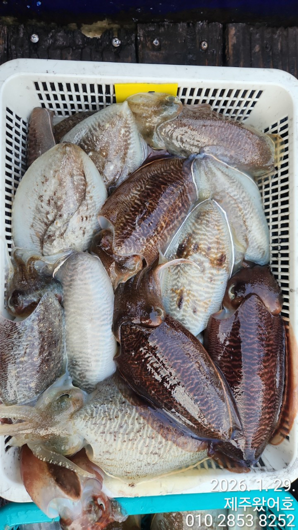
**제주 왔어호 갑오징어 조황**

1월 29일 3물 서귀포권 주간갑오징어

조황입니다.

올해는 서귀포권 갑이가 일찍들어왔네요.

사이즈도 좋고 마릿수도 잘나와줍니다.

서귀포권 당분간 계속 출항가능한 기상입니다.

출항도 당분간은 서귀포권에서 쭈~~욱 나갈꺼 같습니다.

그러나 기상과 조황에 따라 서귀포항 또는 한림항으로 이항진행하겠습니다.

((2월10일까지는 서귀포항 출항확정))

마릿수도 사이즈도 좋은 갑이들 잡고 왔습니다.

오후에 바람만 안터졌어도 더 많은 갑이를 잡았을껀데

조금 아쉬운 하루였네요..

왔어호 예약현황 입니다.

찐한 손맛보실분들 예약주세요.

31일 ㅡ 1자리여유

2월1일 ㅡ 3자리여유

2일 ㅡ 14자리여유

3일 ㅡ. 마감

4일 ㅡ. 1자리여유

5일 ㅡ.11자리여유

6일 ㅡ 8자리여유

7일 ㅡ 마감

8일 ㅡ. 마감

9일 ㅡ 11자리여유

10일 ㅡ. 9자리여유


이젠 사이즈마니 좋아졌습니다.

마릿수도 점점 좋아지네요.


봉돌은 납 40호, 텅스텐 35호 통일.

낚시대 한대만 사용가능하구요.

에기도 하나만 달수 있습니다.

꼬~~~옥 지켜주세요...

라인은 합사 0.8호 추천드립니다.

아래 사진에 기본으로 준비해야되는 에기사진 있으니 참고해주세요.

수온16도

하루종일 쉬지도 않고,

열심히 잡아주신

울 조사님들 감사감사합니다.

왔어호와 함께 찐~~한 갑오징어

손맛 보실 조사님들 아래 예약사이트로

마니마니 예약주세요.

출 항 일 : 기상만 허락한다면 1분이라도

출 항 지 : 서귀포항(2월10일까지)

출항시간 : 06시 30분(항에 06시10분까지)

입항시간 : 17시 30분(저녁9시 이후 뱅기)

1인 선비 : 12만원


**픽업 안됩니다(드랍가능)**

5월 말까지 주간 갑오징어 출항합니다.

많은 이용 부탁드립니다.


**배 전원사용가능**

((배터리 챙겨오시는거 추천))


***자리배정은 승선 후 추첨***

0.80세 이상 어르신 우선권.

1.연박자 우선 추첨(2일째부터 적용)

2.단체 우선 추첨(4인이상 한줄서기)

3.개인추첨

항에서 배를 봤을때 좌측선수에서 1~9번

우측선수에서 1~9번 입니다.

(1,2번빼고는 평지 입니다.)


갑이 손맛 보러 제주로....

이왕이면 왔어호로 와주세요 ^^


*1월~5월 갑오징어 출항 시간*

*아침 6시 30분 출항 ~오후 5시 30분 입항

((서귀포항 출항에는

가는 뱅기는 21시이후 권해드립니다))

*아침새참과 점심 제공해드립니다.

(컵라면과 물, 몇가지 음료 준비되어 있음)


*왔어호 예약바로가기

https://welcome.sunsang24.com/ship/schedule_fleet/


*왔어호 밴드바로가기/ 더 많은 사진

https://www.band.us/band/85207657


네이버검색 : 제주왔어호, 왔어호, 제주 왔어호


제주왔어호_사진_20260129_1.jpeg


제주왔어호_사진_20260129_2.jpg


제주왔어호_사진_20260129_3.jpg


제주왔어호_사진_20260129_4.jpg


제주왔어호_사진_20260129_16.jpg


제주왔어호_사진_20260129_17.jpg


제주왔어호_사진_20260129_18.jpg


제주왔어호_사진_20260129_19.jpg


제주왔어호_사진_20260129_20.jpg


제주왔어호_사진_20260129_21.jpg


제주왔어호_사진_20260129_22.jpg


제주왔어호_사진_20260129_23.jpg


제주왔어호_사진_20260129_24.jpg


제주왔어호_사진_20260129_25.jpg


제주왔어호_사진_20260129_26.jpg


제주왔어호_사진_20260129_27.jpg


제주왔어호_사진_20260129_28.jpg


제주왔어호_사진_20260129_29.jpg


제주왔어호_사진_20260129_30.jpg


제주왔어호_사진_20260129_31.jpeg
 

왔어호 마지막 시메 후 뿔까지 잘라드립니다.

왜냐구요?

마지막 들어올때 까지

한마리라두 더 잡으시게

해드리고 싶어서요...


*기상악화시 숙소는 환급 안되는 곳 많음.*

((예약시 미리 낚시객이라 하시고 기상악화로 출항 못하면 환급되는지 확인하세요))


#제주왔어호 #갑오징어 #제주갑오징어 #제주선상갑오징어 #한치 #한치이카메탈 #제주한치 #제주선상한치 #제주야간팁런 #제주야간무늬팁런 #제주무늬팁런 #제주선상팁런 #제주선상무늬오징어 #제주팁런 #제주모슬포 #제주사계 #제주신창 #제주서귀포

 



*** 제주 왔호***호 예약 안내 ***


예약문의 : 010-2853-8252
오시는길 : 시즌별 변동 예약 시 확인해주세요

홈페이지 : https://welcome.sunsang24.com/
어호 밴드 : https://band.us/band/85207657 (왔어호밴드가입시 휴대폰 인증으로 해주세요)
 


모바일.gif 


Top