조황관리HOME / 조황관리 / 상세정보

제목 : 제주왔어호((9.77톤))26년 1월 27일 갑오징어 조황
등록일 : 2026-01-27

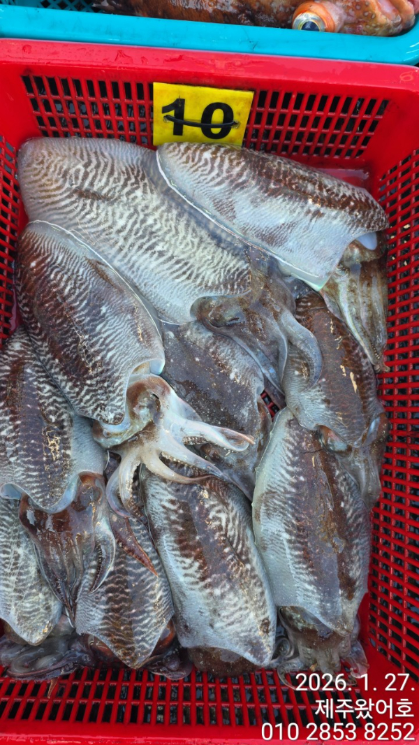
**제주 왔어호 갑오징어 조황**
1월 27일 1물 서귀포권 주간갑오징어
조황입니다.
한림권 기상이 아리까리해서 서귀포로 이항해서 출항하고 있습니다.
서귀포권 당분간 계속 출항가능한 기상입니다.
기상과 조황에 따라 서귀포항 또는 한림항으로 이항진행하겠습니다.
((1월30일까지는 서귀포항 출항확정))
3월말쯤부터 나오던 서귀포권갑이가 1월부터 나와주네요^^
마릿수는 많지는 않지만 사이즈 좋은 갑이들 잡고 왔습니다.
오늘도 조과차가 많이난 하루 였습니다.
선장이 포인트 선정을 잘 못해 다른배들보다 조과가 좋지
못한 하루였네요...ㅠㅠ
오늘 출조하신 조사님들 죄송합니다.
올 1월은 다른해보다 기상이 많이 좋지 못하네요.ㅠㅠ

28일 ㅡ 10자리여유
29일 ㅡ 9자리여유
30일 ㅡ 마감
31일 ㅡ 마감
2월1일 ㅡ 5자리여유
2일 ㅡ 14자리여유
찐한 손맛보실분들 예약주세요.
제주 12월과 1월이 가장기상이 안좋을때라
출항일이 많지 않네요..
그래도 출항가능한날은
열심히 달려 마릿수 올려보겠습니다.^^
이젠 사이즈마니 좋아졌습니다.
마릿수도 점점 좋아지네요.

봉돌은 납 40호, 텅스텐 35호 통일.
낚시대 한대만 사용가능하구요.
에기도 하나만 달수 있습니다.
꼬~~~옥 지켜주세요...
라인은 합사 0.8호 추천드립니다.

아래 사진에 기본으로 준비해야되는 에기사진 있으니 참고해주세요.
수온16도
하루종일 쉬지도 않고,
열심히 잡아주신
울 조사님들 감사감사합니다.
왔어호와 함께 찐~~한 갑오징어
손맛 보실 조사님들 아래 예약사이트로
마니마니 예약주세요.
출 항 일 : 기상만 허락한다면 1분이라도
출 항 지 : 서귀포항(1월30일까지)
출항시간 : 06시 30분(항에 06시10분까지)
입항시간 : 17시 30분(저녁9시 이후 뱅기)
1인 선비 : 12만원

**픽업 안됩니다(드랍가능)**
5월 말까지 주간 갑오징어 출항합니다.
많은 이용 부탁드립니다.

**배 전원사용가능**
((배터리 챙겨오시는거 추천))

***자리배정은 승선 후 추첨***
0.80세 이상 어르신 우선권.
1.연박자 우선 추첨(2일째부터 적용)
2.단체 우선 추첨(4인이상 한줄서기)
3.개인추첨
항에서 배를 봤을때 좌측선수에서 1~9번
우측선수에서 1~9번 입니다.
(1,2번빼고는 평지 입니다.)

갑이 손맛 보러 제주로....
이왕이면 왔어호로 와주세요 ^^

*1월~5월 갑오징어 출항 시간*
*아침 6시 30분 출항 ~오후 5시 30분 입항
((서귀포항 출항에는
가는 뱅기는 21시이후 권해드립니다))
*아침새참과 점심 제공해드립니다.
(컵라면과 물, 몇가지 음료 준비되어 있음)

 

*왔어호 예약바로가기
https://welcome.sunsang24.com/ship/schedule_fleet/

 

*왔어호 밴드바로가기/ 더 많은 사진
https://www.band.us/band/85207657

 

네이버검색 : 제주왔어호, 왔어호, 제주 왔어호


제주왔어호_사진_20260127_1.jpg


제주왔어호_사진_20260127_2.jpg


제주왔어호_사진_20260127_3.jpg


제주왔어호_사진_20260127_4.jpg


제주왔어호_사진_20260127_15.jpg


제주왔어호_사진_20260127_16.jpg


제주왔어호_사진_20260127_17.jpg


제주왔어호_사진_20260127_18.jpg


제주왔어호_사진_20260127_19.jpg


제주왔어호_사진_20260127_20.jpg


제주왔어호_사진_20260127_21.jpg


제주왔어호_사진_20260127_22.jpg


제주왔어호_사진_20260127_23.jpg


제주왔어호_사진_20260127_24.jpg


제주왔어호_사진_20260127_25.jpg


제주왔어호_사진_20260127_26.jpg


제주왔어호_사진_20260127_27.jpg


제주왔어호_사진_20260127_28.jpg


제주왔어호_사진_20260127_29.jpg


제주왔어호_사진_20260127_35.jpg

왔어호 마지막 시메 후 뿔까지 잘라드립니다.
왜냐구요?
마지막 들어올때 까지
한마리라두 더 잡으시게
해드리고 싶어서요...

*기상악화시 숙소는 환급 안되는 곳 많음.*
((예약시 미리 낚시객이라 하시고 기상악화로 출항 못하면 환급되는지 확인하세요))

#제주왔어호 #갑오징어 #제주갑오징어 #제주선상갑오징어 #한치 #한치이카메탈 #제주한치 #제주선상한치 #제주야간팁런 #제주야간무늬팁런 #제주무늬팁런 #제주선상팁런 #제주선상무늬오징어 #제주팁런 #제주모슬포 #제주사계 #제주신창 #제주서귀포  



*** 제주 왔호***호 예약 안내 ***


예약문의 : 010-2853-8252
오시는길 : 시즌별 변동 예약 시 확인해주세요

홈페이지 : https://welcome.sunsang24.com/
어호 밴드 : https://band.us/band/85207657 (왔어호밴드가입시 휴대폰 인증으로 해주세요)
 


모바일.gif 


Top