조황관리HOME / 조황관리 / 상세정보

제목 : 제주왔어호((9.77톤))26년 1월 25일 갑오징어 조황
등록일 : 2026-01-25

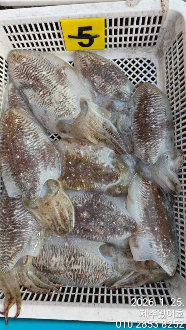
**제주 왔어호 갑오징어 조황**
1월 25일 14물 서귀포권 주간갑오징어
조황입니다.
한림권 기상이 아리까리해서 서귀포로 이항해서 출항했습니다.
기상과 조황에 따라 서귀포항 또는 한림항으로 이항진행하겠습니다.
((2월2일까지는 서귀포항 출항확정))
3월말쯤부터 나오던 서귀포권갑이가 1월부터 나와주네요^^
마릿수는 많지는 않지만 사이즈 좋은 갑이들 잡고 왔습니다.
어제보단 못한 조황이네요.
올 1월은 다른해보다 기상이 많이 좋지 못하네요.ㅠㅠ
26일 ㅡ 마감
27일 ㅡ 5자리여유
28일 ㅡ 15자리여유
29일 ㅡ 12자리여유
30일 ㅡ 2자리여유
31일 ㅡ 1자리여유
2월1일 ㅡ 3자리여유
2일 ㅡ 14자리여유
찐한 손맛보실분들 예약주세요.
제주 12월과 1월이 가장기상이 안좋을때라
출항일이 많지 않네요..
그래도 출항가능한날은
열심히 달려 마릿수 올려보겠습니다.^^
이젠 사이즈마니 좋아졌습니다.
마릿수도 점점 좋아지네요.

봉돌은 납 40호, 텅스텐 35호 통일.
낚시대 한대만 사용가능하구요.
에기도 하나만 달수 있습니다.
꼬~~~옥 지켜주세요...
라인은 합사 0.8호 추천드립니다.
아래 사진에 기본으로 준비해야되는 에기사진 있으니 참고해주세요.
수온16.3도

하루종일 쉬지도 않고,
열심히 잡아주신
울 조사님들 감사감사합니다.
왔어호와 함께 찐~~한 갑오징어
손맛 보실 조사님들 아래 예약사이트로
마니마니 예약주세요.

출 항 일 : 기상만 허락한다면 1분이라도
출 항 지 : 서귀포항(2월2일까지)
출항시간 : 06시 30분(항에 06시10분까지)
입항시간 : 17시 30분(저녁9시 이후 뱅기)
1인 선비 : 12만원

**픽업 안됩니다(드랍가능)**
5월 말까지 주간 갑오징어 출항합니다.
많은 이용 부탁드립니다.
**배 전원사용가능**
((배터리 챙겨오시는거 추천))
***자리배정은 승선 후 추첨***
0.80세 이상 어르신 우선권.
1.연박자 우선 추첨(2일째부터 적용)
2.단체 우선 추첨(4인이상 한줄서기)
3.개인추첨
항에서 배를 봤을때 좌측선수에서 1~9번
우측선수에서 1~9번 입니다.
(1,2번빼고는 평지 입니다.)

갑이 손맛 보러 제주로....
이왕이면 왔어호로 와주세요 ^^

*1월~5월 갑오징어 출항 시간*
*아침 6시 30분 출항 ~오후 5시 30분 입항
((서귀포항 출항에는
가는 뱅기는 21시이후 권해드립니다))
*아침새참과 점심 제공해드립니다.
(컵라면과 물, 몇가지 음료 준비되어 있음)

 

*왔어호 예약바로가기
https://welcome.sunsang24.com/ship/schedule_fleet/

*왔어호 밴드바로가기/ 더 많은 사진
https://www.band.us/band/85207657

네이버검색 : 제주왔어호, 왔어호, 제주 왔어호

 

낚시유튜브 품위유지님 함께 하셨습니다.
구독ㆍ좋아요 꼬~~~옥 부탁드려요^^


제주왔어호_사진_20260125_1.jpg


제주왔어호_사진_20260125_2.jpg


제주왔어호_사진_20260125_3.jpg


제주왔어호_사진_20260125_4.jpg


제주왔어호_사진_20260125_5.jpg


제주왔어호_사진_20260125_6.jpg


제주왔어호_사진_20260125_7.jpg


제주왔어호_사진_20260125_8.jpg


제주왔어호_사진_20260125_9.jpg


제주왔어호_사진_20260125_10.jpg


제주왔어호_사진_20260125_16.jpg


제주왔어호_사진_20260125_17.jpg


제주왔어호_사진_20260125_18.jpg


제주왔어호_사진_20260125_19.jpg


제주왔어호_사진_20260125_20.jpg


제주왔어호_사진_20260125_21.jpg


제주왔어호_사진_20260125_22.jpg


제주왔어호_사진_20260125_23.jpg


제주왔어호_사진_20260125_24.jpg


제주왔어호_사진_20260125_25.jpg

왔어호 마지막 시메 후 뿔까지 잘라드립니다.
왜냐구요?
마지막 들어올때 까지
한마리라두 더 잡으시게
해드리고 싶어서요...

*기상악화시 숙소는 환급 안되는 곳 많음.*
((예약시 미리 낚시객이라 하시고 기상악화로 출항 못하면 환급되는지 확인하세요))

#제주왔어호 #갑오징어 #제주갑오징어 #제주선상갑오징어 #한치 #한치이카메탈 #제주한치 #제주선상한치 #제주야간팁런 #제주야간무늬팁런 #제주무늬팁런 #제주선상팁런 #제주선상무늬오징어 #제주팁런 #제주모슬포 #제주사계 #제주신창 #제주서귀포  



*** 제주 왔호***호 예약 안내 ***


예약문의 : 010-2853-8252
오시는길 : 시즌별 변동 예약 시 확인해주세요

홈페이지 : https://welcome.sunsang24.com/
어호 밴드 : https://band.us/band/85207657 (왔어호밴드가입시 휴대폰 인증으로 해주세요)
 


모바일.gif 


Top