조황관리HOME / 조황관리 / 상세정보

제목 : 제주왔어호((9.77톤))26년 1월 18일 갑오징어 조황
등록일 : 2026-01-19
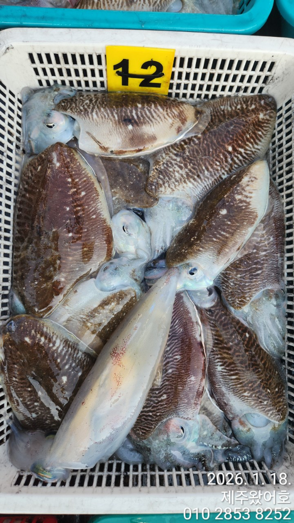
**제주 왔어호 갑오징어 조황**
1월 18일 7물 한림권 주간갑오징어
조황입니다.

좋은기상에 마릿수보다 사이즈보러 멀리나갔다왔네요...
마릿수는 많지는 않지만 사이즈 좋은 갑이들
잡고왔습니다.

왔어호와 3일을 낚시유튜브 수봉언니와
수봉팀 함께 해주셨습니다.
악바리 삼봉에기 개발 만들어주신 안선장님도
같이해준 하루 였네요.
감사감사요^^
아시죠 수봉언니유튜브 보시고 구독 좋아요
눌러주시는거..

안선장님께서 에기선물로 주셔서 승선하신분들께
나눔도하고 작은 이벤트들로 즐거운 하루보냈습니다.
악바리삼봉에기 레드헤드보라는 오전에
은갈치는 오후에 확실히 잘먹혔습니다.
악바리삼봉에기 왔어선장 추천 에기이니
꼬~~~옥 구매해 오세요^^

올 1월은 다른해보다 기상이 많이 좋지못하네요...ㅠㅠ
19일부터 22일까지 기상 악화로 강제휴무
23일 출항ㆍ24일과 25일 기상변화지켜보는중
입니다.
23일 ㅡ 8자리여유
24일 ㅡ 마감(기상변화지켜보는중)
25일 ㅡ 3자리여유(기상변화지켜보는중)
26일 ㅡ 2자리 여유
27일 ㅡ 12자리여유
28일 ㅡ 18자리여유
29일 ㅡ 17자리여유
30일 ㅡ 마감
31일 ㅡ 1자리여유
찐한 손맛보실분들 예약주세요.

제주 12월과 1월이 가장기상이 안좋을때라
출항일이 많지 않네요..
그래도 출항가능한날은
열심히 달려 마릿수 올려보겠습니다.^^

이젠 사이즈마니 좋아졌습니다.
마릿수도 점점 좋아지네요.

봉돌은 납 40호, 텅스텐 35호 통일.
낚시대 한대만 사용가능하구요.
에기도 하나만 달수 있습니다.
꼬~~~옥 지켜주세요...
라인은 합사 0.8호 추천드립니다.

아래 사진에 기본으로 준비해야되는 에기사진 있으니 참고해주세요.
수온15.7도

하루종일 쉬지도 않고,
열심히 잡아주신
울 조사님들 감사감사합니다.
왔어호와 함께 찐~~한 갑오징어
손맛 보실 조사님들 아래 예약사이트로
마니마니 예약주세요.

출 항 일 : 기상만 허락한다면 1분이라도
출 항 지 : 한림항(3월말일까지)
출항시간 : 06시 30분(항에 06시10분까지)
입항시간 : 17시 30분(저녁8시30분 이후 뱅기)
1인 선비 : 12만원

**픽업 안됩니다**

5월 말까지 주간 갑오징어 출항합니다.
많은 이용 부탁드립니다.

**배 전원사용가능**
((배터리 챙겨오시는거 추천))

***자리배정은 승선 후 추첨***
0.80세 이상 어르신 우선권.
1.연박자 우선 추첨(2일째부터 적용)
2.단체 우선 추첨(4인이상 한줄서기)
3.개인추첨
항에서 배를 봤을때 좌측선수에서 1~9번
우측선수에서 1~9번 입니다.
(1,2번빼고는 평지 입니다.)

갑이 손맛 보러 제주로....
이왕이면 왔어호로 와주세요 ^^

*1월~5월 갑오징어 출항 시간*
*아침 6시 30분 출항 ~오후 5시 30분 입항
((가는 뱅기는 20시30분이후 권해드립니다))
*아침새참과 점심 제공해드립니다.
(컵라면과 물, 몇가지 음료 준비되어 있음)


*왔어호 예약바로가기

*왔어호 밴드바로가기/ 더 많은 사진

네이버검색 : 제주왔어호, 왔어호, 제주 왔어호

제주왔어호_사진_20260119_1.jpg


제주왔어호_사진_20260119_2.jpg


제주왔어호_사진_20260119_3.jpg


제주왔어호_사진_20260119_4.jpg


제주왔어호_사진_20260119_5.jpg


제주왔어호_사진_20260119_6.jpg


제주왔어호_사진_20260119_7.jpg


제주왔어호_사진_20260119_8.jpg


제주왔어호_사진_20260119_9.jpg


제주왔어호_사진_20260119_10.jpg


제주왔어호_사진_20260119_22.jpg


제주왔어호_사진_20260119_23.jpg


제주왔어호_사진_20260119_24.jpg


제주왔어호_사진_20260119_25.jpg


제주왔어호_사진_20260119_26.jpg


제주왔어호_사진_20260119_27.jpg


제주왔어호_사진_20260119_28.jpg


제주왔어호_사진_20260119_29.jpg


제주왔어호_사진_20260119_30.jpg


제주왔어호_사진_20260119_31.jpg
왔어호 마지막 시메 후 뿔까지 잘라드립니다.
왜냐구요?
마지막 들어올때 까지
한마리라두 더 잡으시게
해드리고 싶어서요...

*연박 한림항 숙박추천*
*복층형펜션(기상악화 100프로 환급)*
((잡은갑이로 저녁식사되는곳))
바사팬스파펜션((010 9916 9811))
(한경해안로 448-6)
2인 6만원에 복층형 펜션 입니다.
((1인 추가 2만원)
1층식당에서 잡은 갑이 가져가시면
1인2만원(추가1인1만5천원)갑이회,튀김,무침,탕
해주신다고 합니다.
한림항에서 차로 15분거리에
아침에 한림항까지
유료픽업해준다구 합니다.
방이5개뿐이니 미리미리 예약하셔야 합니다.

**한림항 숙박 추천 순서**
더퍼스트호텔 064-796-6950
자몽호텔 064-796-1121
비양도모텔 064-796-5851
한라모텔 064-796-7942
3만8천모텔 064-796-0181

*기상악화시 숙소는 환급 안되는 곳 많음.*
((예약시 미리 낚시객이라 하시고 기상악화로 출항 못하면 환급되는지 확인하세요))

#제주왔어호 #갑오징어 #제주갑오징어 #제주선상갑오징어 #한치 #한치이카메탈 #제주한치 #제주선상한치 #제주야간팁런 #제주야간무늬팁런 #제주무늬팁런 #제주선상팁런 #제주선상무늬오징어 #제주팁런 #제주모슬포 #제주사계 #제주신창 #제주서귀포


*** 제주 왔호***호 예약 안내 ***


예약문의 : 010-2853-8252
오시는길 : 시즌별 변동 예약 시 확인해주세요

홈페이지 : https://welcome.sunsang24.com/
어호 밴드 : https://band.us/band/85207657 (왔어호밴드가입시 휴대폰 인증으로 해주세요)
 


모바일.gif 


Top